Форум Блог Новости Путеводитель   Реклaма

Всякая всячина › "А по до мною глубина, пять километров до дна..."

Карма 229
12.11.2008
Когда-то я упоминал об участии в экспедиции по разведке железомарганцевых конкреций в Тихом Океане. Прилагаю к этому несколько ч/б фотографий.
Карма 427
12.11.2008
genrih

как интересно!!!

а что это на дне лежит?
12.11.2008
наверное океан это обратная сторона луны
Карма 229
12.11.2008
дамоДара

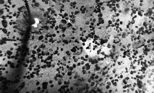
А это и есть ЖМК, а также и акульи зубы. Также есть и пустые места.
12.11.2008
genrih
Когда-то я упоминал об участии в экспедиции по разведке железомарганцевых конкреций в Тихом Океане

а для какой компании проводилась экспедиция? кто спонсировал? это было советское время?
Карма 373
12.11.2008
genrih
Прилагаю к этому несколько ч/б фотографий

Ух ты! А фототехникой советской снимали, не помните?
Карма 427
12.11.2008
на фото №7, темнота справа, это что?
Карма 229
12.11.2008
Blonde_
а для какой компании проводилась экспедиция? кто спонсировал? это было советское время?

Время было ещё советское, но уже заканчивалось. Работы проводила Южно-Тихоокеанская Геологоразведочная экспедиция (ЮТГРЭ) Объеденения Южморгеология, Мингео СССР, по ООНовской программе. Так, как дно Мирового океана за пределами экономическиой зоны не принадлежит ни кому, т.е. все имеют на него право. Половину из разведанных месторождений забирал ООН и распределял между странами, не имеющих возможности самим проводить разведку. На второй половине мы имели право проводить добычу ЖМК и половину добытого опять же отдавать ООН, для распределения тем, кто не имеет такой возможности. На данный момент определённый участок морского дна закреплён непосредственно за Южморгеологией.

Matsja
А фототехникой советской снимали, не помните?

Фотоаппарат ЛОМО 135М, с взводом на 8 кадров.
Карма 229
12.11.2008
дамоДара
на фото №7, темнота справа, это что?

Обрыв наверное какой-то. За один спуск мы обязаны были делать три снимка и взять пробу грунта. Иначе повторяли спуск до тех пор, пока не добивались нужного результата.

А здесь в кадр попали живые организмы:

Для масштаба, белый круг диаметром 10 см
Карма 373
12.11.2008
genrih
Фотоаппарат ЛОМО 135М, с взводом на 8 кадров.

Зашибись!

Умели ж и наши делать!
Помощь сайту
Войди или зарeгиcтpируйся, чтобы писать
Случайные топики
Новое в Новостях